Click the link below the picture
.
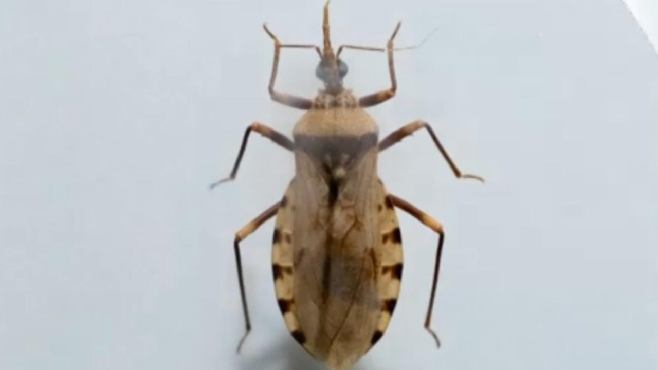
Chagas disease, a potentially deadly condition caused by an infected triatomine insect or “kissing bug,” may be becoming endemic in the United States, according to a new report published by the Centers for Disease Control and Prevention.
In the report, which was originally published last month for the September issue of the CDC journal Emerging Infectious Diseases, the authors said the disease is already endemic to 21 countries in the Americas, and growing evidence of the parasite is challenging the non-endemic label in the U.S.
“Autochthonous (or, locally acquired) human cases have been reported in 8 states, most notably in Texas. Labeling the United States as non-Chagas disease-endemic perpetuates low awareness and underreporting,” the report noted, adding the insect has been reported in 32 states.
Other states with human cases include California, Arizona, Tennessee, Louisiana, Missouri, Mississippi, and Arkansas.
The report notes that data is “inadequate” to prove that the insects are increasing in geographic distribution or abundance. But it also says that the bugs are “increasingly recognized” because of frequent encounters with humans and due to more research attention.
“Invasion into homes, human bites, subsequent allergic reactions or exposure to T. cruzi parasites, and increasing frequency of canine diagnoses have led to growing public awareness,” it says.
What causes Chagas disease?
The condition is caused by Trypanosoma cruzi parasites found in triatomine or “kissing bugs,” which can pass the disease to other animals and humans.
According to UCLA Health, the insect’s nickname comes from the bug often biting people on the face.
According to the CDC, about 8 million people globally and 280,000 in the United States have the disease, often without knowing it.
“People might scratch or rub bug feces into a bite wound, their eyes, or mouth without realizing it, which allows the parasite to enter their body,” the CDC says. The agency explains that bugs pass the parasite in their droppings after biting a person or animal. “If these droppings get into someone’s body through a cut in the skin, or near the eyes or mouth, it can lead to infection.”
The disease does not spread from person to person like a cold, nor does it spread through casual contact with those infected.
Without treatment, the condition can be life-threatening, the CDC says.
Symptoms of Chagas disease in adults
In the acute phase, which happens shortly after infection, a type of eyelid swelling known as Romaña’s sign may appear.
“This happens when the Trypanosoma cruzi parasite gets into the eyelid, usually by accidentally rubbing the bug feces into your eye or into a bug bite near your eye,” the CDC says.
Other acute signs may include:
- Fever
- Feeling tired
- Body aches
- Headache
- Rash
- Loss of appetite
- Diarrhea
- Vomiting
Others may experience symptoms for years or a lifetime, which is known as the chronic phase of infection, and can include heart and digestive issues.
“(The disease) can destroy the nerves that feed the various parts of your body — so your heart, your esophagus, your colon,” infectious disease physician Tom Moore told CBS News Philadelphia in 2019 as cases made their way north.
In both stages, some people might not feel sick while others can have serious health problems, the CDC adds.
How to avoid “kissing bugs”
There are no vaccines or drugs that can prevent Chagas disease at this time, according to the CDC, so it’s important to protect yourself.
Prevention methods include staying in well-built places if traveling, using insecticides and bug spray, wearing clothes that cover your skin, and not eating raw fruits and vegetables, as the infection can also be acquired orally or through the mouth via contaminated food.
Experts also previously told CBS News Philadelphia that homeowners can seal windows and keep trash, piles of wood, and rocks away from their homes to reduce risk.
.
![]()
.
.
Click the link below for the complete article:
.
__________________________________________

Leave a comment