September 5, 2017
Mohenjo
Breaking News, Business, Human Interest, Political, Science
amazon, business, Business News, CNN, current-events, Future, Hotels, human-rights, medicine, mental-health, research, Science, Science News, technology, Technology News, travel, vacation, Video
Click link below picture
.
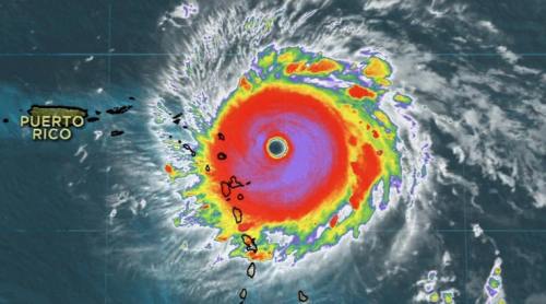
Irma is now a Category 5 storm and one of the strongest ever recorded in the Atlantic.
.
Currently, it is threatening to slam into Caribbean islands including Puerto Rico and the Virgin Islands with “potentially catastrophic” force on Wednesday, the National Hurricane Center said.
The military is braced for it to hit the US mainland and the current forecast suggests it could strike Florida over the weekend.
.
Hurricane Irma hits Caribbean island of Barbuda
.
.
Click link below for article and video:
http://www.cnn.com/2017/09/05/politics/key-west-navy-evacuation-hurricane-irma/index.html
.
__________________________________________
September 5, 2017
Mohenjo
Breaking News, Business, Human Interest, Political
amazon, business, Business News, CNN, current-events, Future, Hotels, human-rights, medicine, mental-health, research, Science, Science News, technology, Technology News, travel, vacation, Video
Click link below picture
.
The biggest names in business are urging President Trump and Congress to continue a program that protects undocumented immigrants who came to the United States as children.
The CEOs of AT&T (T, Tech30), Best Buy (BBY) and Wells Fargo (WFC) are among the dozens of business leaders across the tech, retail and financial industries who have added their names to a letter defending the Deferred Action for Childhood Arrivals (DACA) program.
FWD.us, an immigration advocacy organization, first posted the letter on Thursday with the backing of more than 300 business leaders. That number has now climbed above 400.
.
“Dreamers are vital to the future of our companies and our economy. With them, we grow and create jobs,” the letter says. “They are part of why we will continue to have a global competitive advantage.”
.
.
.
Click link below for article:
http://money.cnn.com/2017/09/04/news/companies/business-leaders-protect-daca/index.html?iid=surge-story-summary
.
__________________________________________
September 5, 2017
Mohenjo
Breaking News, Business, Human Interest
amazon, business, Business News, CNN, current-events, Future, Hotels, human-rights, medicine, mental-health, research, Science, Science News, technology, Technology News, travel, vacation, Video
Click link below picture
.
Two of the biggest suppliers to Boeing and Airbus are getting together — and it’s mostly because you want cheaper plane tickets.
United Technologies(UTX), a conglomerate that makes equipment for the aerospace and building industries, said late Monday it’s buying high-tech aerospace and defense electronics supplier Rockwell Collins (COL) for $23 billion.
The combined company would have annual sales of around $34 billion, making it the world’s fourth largest aerospace firm by revenue after Boeing (BA), Airbus (EADSF) and Lockheed Martin (LMT), according to industry website Flight Global. And its market cap of $115 billion would eclipse those of Airbus and Lockheed.
United Technologies’ businesses include Pratt & Whitney, which makes aircraft engines for commercial passenger planes and military jets like Lockheed’s F-35 fighter.
.

.
.
Click link below for article and video:
http://money.cnn.com/2017/09/05/news/companies/rockwell-collins-united-technologies-deal/index.html
.
__________________________________________
September 5, 2017
Mohenjo
Breaking News, Human Interest, Political
amazon, business, Business News, CNN, current-events, Future, Hotels, human-rights, medicine, mental-health, research, Science, Science News, technology, Technology News, travel, vacation, Video, Washington
Click link below picture
.
“To target these young people is wrong — because they have done nothing wrong,” Obama wrote in a post on Facebook hours after the decision was announced by President Donald Trump and Attorney General Jeff Sessions. “It is self-defeating — because they want to start new businesses, staff our labs, serve in our military, and otherwise contribute to the country we love. And it is cruel.”
.
The lengthy statement is among Obama’s most forceful since departing office. He sharply criticized Trump’s motives and insisted rescinding the program — called DACA — was not legally required.
.
.
.
Click link below for article and video:
http://www.cnn.com/2017/09/05/politics/obama-daca/index.html
.
__________________________________________
September 4, 2017
Mohenjo
Breaking News, Business, Crime, Human Interest, Technical
amazon, business, Business News, CNN, current-events, Future, Hotels, human-rights, medicine, mental-health, research, Science, Science News, technology, Technology News, travel, vacation, Video
Click link below picture
.
A South Korean court has found Lee Jae-yong, the de facto chief of the sprawling Samsung business empire, guilty of bribery and other corruption charges.
Lee, the billionaire son of Samsung’s ailing chairman, was sentenced to five years in prison on Friday, well short of the 12-year sentence prosecutors had sought.
The criminal conviction is a blow for Samsung, the world’s largest smartphone maker and South Korea’s biggest family-run conglomerate whose businesses are estimated to account for around 15% of the country’s entire economy.
The so-called “trial of the century” has gripped South Korea for months. It’s part of a huge influence-peddling scandal that brought down the government of former President Park Geun-hye.
.
.
.
Click link below for article and video:
http://money.cnn.com/2017/08/25/technology/samsung-verdict-jay-y-lee/index.html
.
__________________________________________
September 3, 2017
Mohenjo
Breaking News, Human Interest, Political
amazon, business, Business News, CNN, current-events, Future, Hotels, human-rights, medicine, mental-health, Nairobi Kenya, research, Science, Science News, technology, Technology News, travel, vacation, Video
Click link below picture
.
The court upheld a petition by opposition candidate Raila Odinga, who said the re-election of President Uhuru Kenyatta on August 8 was fraudulent.
“The presidential election was not conducted in accordance with the constitution, rendering the declared results invalid, null and void,” Chief Justice David Maraga said, ordering fresh elections within 60 days.
.

.
.
Click link below for article and video:
http://www.cnn.com/2017/09/01/africa/kenya-election/index.html
.
__________________________________________
September 2, 2017
Mohenjo
Breaking News, Human Interest, Medical
amazon, business, Business News, CNN, current-events, Future, Hotels, human-rights, medicine, mental-health, research, Science, Science News, technology, Technology News, travel, vacation, Video
Click link below picture
.
Health and Human Services Secretary Dr. Tom Price declared a public health emergency in Texas on Sunday. That means the department has put additional medical personnel from across the country on alert, ready to provide help when they are needed.
.
The health concerns that floodwater can bring include physical and mental challenges.
.
Floodwater is more than simple rain. It’s often contaminated with sewage and chemicals and can hide sharp objects made of metal or glass. Sewage can cause boils or rashes on parts of the body that are submerged for extended periods of time, such as legs, according to environmentalist Wilma Subra. Chemicals can cause rashes and burning of the skin and eyes after exposure.
.
Many health risks: Contaminated water, sheltering with groups can spread stomach viruses, skin rashes, respiratory disease
.
.
Click link below for article and video:
http://www.cnn.com/2017/08/27/health/health-consequences-flood-waters/index.html
.
__________________________________________
September 2, 2017
Mohenjo
Breaking News, Business, Human Interest, Political
amazon, business, Business News, CNN, current-events, Future, Hotels, Houston Texas, human-rights, medicine, mental-health, research, Science, Science News, technology, Technology News, travel, vacation, Video
Click link below picture
.
Trump, joined by first lady Melania Trump, landed here at just after noon ET on Saturday to witness the devastation wrought by the storm firsthand and meet with survivors, four days after his first visit to Texas. Then, he touted the size of the crowd that greeted him outside a firehouse but failed to mention the storm’s victims, leaving critics and even some allies saying he failed to demonstrate the empathy and compassion presidents are expected to display during these visits.
.
Trump visits with Harvey victims, serves food
.
.
Click link below for article and video:
http://www.cnn.com/2017/09/02/politics/donald-trump-texas-harvey/index.html
.
__________________________________________
August 31, 2017
Mohenjo
Breaking News, Human Interest, Medical, Science
amazon, business, Business News, CNN, current-events, Future, Hotels, human-rights, medicine, mental-health, research, Science, Science News, technology, Technology News, travel, vacation, Video
Click link below picture
.
One deputy has been taken to the hospital after he inhaled fumes from the Arkema peroxide plant, the Harris County sheriff’s office tweeted. Nine others drove themselves to the hospital as a precaution, the sheriff’s office said.
The explosions were reported around 2 a.m. (local time).
The facility, which is between Houston and Beaumont, had been closely monitored after plant officials said they expected a chemical reaction that will likely cause a fire that will “resemble a large gasoline fire.”
.
And Then – Two explosions reported at chemical plant
.
.
Click link below for article and video:
http://www.cnn.com/2017/08/31/us/harvey-houston-texas-flood/index.html
.
__________________________________________
August 30, 2017
Mohenjo
Breaking News, Business, Human Interest, Medical
amazon, business, Business News, CNN, current-events, Future, Hotels, human-rights, medicine, mental-health, research, Science, Science News, technology, Technology News, travel, vacation, Video
Click link below picture
.
The treatment, called Kymriah, aims to give some patients a second chance after first-line drugs have failed. This may happen in up to a fifth of patients, according to the FDA.
.
Each dose of Kymriah contains a patient’s own immune cells, which are sent to a lab to be genetically modified using a virus. This therapy — known as chimeric antigen receptor T-cell therapy, or CAR-T — gives the cells the ability to recognize and kill the source of the cancer.
.
.
.
Click link below for article:
http://www.cnn.com/2017/08/30/health/fda-first-gene-therapy-leukemia/index.html
.
__________________________________________
Older Entries
Newer Entries